西郷村米字中原
価格
850万円
所在地
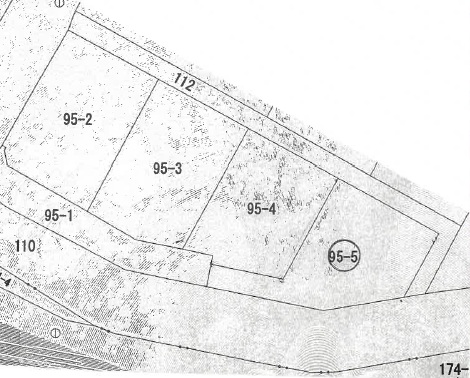
福島県西白河郡西郷村大字米字中原95-5( 地図)
国道4号線まで車で3分
閑静な住宅地です
地図
物件概要
| 物件名 | 西郷村米字中原 |
|---|---|
| 所在地 | 福島県西白河郡西郷村大字米字中原95-5 |
| 交通 | 東北新幹線新白河駅 車7分 |
| 取引態様 | 媒介 |
| 物件種目 | 土地 |
| 価格 | 850万円 |
| 土地権利 | 所有権 |
| 土地面積 | 270.08㎡(81.69坪) |
| 接道 | 西側4m |
| 用途地域 | 無指定地域 |
| 都市計画 | 非線引 |
| 建ぺい率 | 60% |
| 容積率 | 200% |
| 地目 (登記) |
|
| 地目 (現況) |
宅地 |
| 学区 | 米小学校 西郷第一中学校 |
| 設備 | ガス:個別LP 水道:上水道(宅内20㎜配管済) 雑排水:本下水 汚水:本下水 |
| 引渡し | |
| 現況 | |
| 備考 | ・現況有姿にて引渡し ・接道・位置指定道路(福島県指令南建第2369号)村道・第3064号線 |
| 情報公開日 | 2026年3月13日 |
| 情報更新日 |
当物件へのお問い合わせ
● 電話でのお問い合わせ
0248-27-1131(営業時間/9:00~18:00)電話をかける
● メールフォームからのお問い合わせ
※docomo、au、softbank等のキャリアメールをご利用の方には返信メールが届かない場合がございます。
ご不明な点があれば電話(0248-27-1131)にてご連絡ください。
当物件へのお問い合わせ内容を入力して送信してください。
