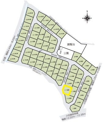
西郷村小田倉前原(17号棟)
価格
2,690万円
所在地
福島県西白河郡西郷村大字小田倉字前原1-119( 地図)
各居室に収納あり!収納充実のパントリー、玄関収納🏡
家族で使い分けができるコンパクトな2台目洗面台✨
地図
物件概要
| 物件名 | 西郷村小田倉前原(17号棟) |
|---|---|
| 所在地 | 福島県西白河郡西郷村大字小田倉字前原1-119 |
| 交通 | 東北新幹線新白河駅 徒歩15分 |
| 取引態様 | 媒介 |
| 物件種目 | 新築建売 |
| 価格 | 2,690万円 |
| 土地権利 | 所有権 |
| 土地面積 | 210.15㎡(63.57坪) |
| 建物面積 | 103.50㎡(31.30坪) |
| 建物構造 | 木造2階建 |
| 築年月 | 2026年6月完成予定 |
| 間取り | 4LDK |
| 接道 | |
| 用地地域 | 工業地域 |
| 都市計画 | 非線引 |
| 建ぺい率 | 60% |
| 容積率 | 200% |
| 地目 (登記) |
原野・山林 |
| 地目 (現況) |
宅地 |
| 学区 | 小田倉小学校 白河第二小学校(選択可能) |
| 設備 | ガス:個別LP 水道:公営 下水:本下水 |
| 引渡し | 建物完成後 |
| 現況 | 建築中 |
| 備考 | ・第R07確認建築BHC中支1104号 ・開発許可 福島県指令南建第1508号 ・23条区域、国土法、文化財保護法、公有地拡大推進法 ・駐車3台可 |
| 情報公開日 | 2026年1月17日 |
| 情報更新日 |
当物件へのお問い合わせ
● 電話でのお問い合わせ
0248-27-1131(営業時間/9:00~18:00)電話をかける
● メールフォームからのお問い合わせ
※docomo、au、softbank等のキャリアメールをご利用の方には返信メールが届かない場合がございます。
ご不明な点があれば電話(0248-27-1131)にてご連絡ください。
当物件へのお問い合わせ内容を入力して送信してください。
